Szanujemy Twoją prywatność
Używamy plików cookie oraz podobnych technologii do:

Masz pełną kontrolę nad swoimi zgodami i możesz je w każdej chwili zmienić. Więcej informacji znajdziesz w naszej [Polityce prywatności].


Masz pełną kontrolę nad swoimi zgodami i możesz je w każdej chwili zmienić. Więcej informacji znajdziesz w naszej [Polityce prywatności].

Współpracujemy z zaufanymi partnerami, w tym z Google, którzy mogą przetwarzać Twoje dane:

  • w celach reklamowych (ad_personalization),  

  • do pomiaru skuteczności kampanii (ad_user_data).

Funkcjonalne (niezbędne)
Analityczne
Marketingowe

Działka na sprzedaż Szydłowo (gw), Skrzatusz

950.00 m²
84,21 zł/m2
ABC-GS-96882
Oblicz ratę kredytu

80 000 zł

Działka na sprzedaż
Oferta na wyłączność

Szczegóły oferty

Symbol oferty ABC-GS-96882
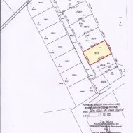
Powierzchnia 950,00 m²
Przeznaczenie działki budowlana
Wymiary działki 23,40 m
Zagosp. działki niezagospodarowana
Ukształtowanie działki płaska
Kształt działki prostokąt
Ogrodzenie działki brak
Gaz brak
Woda brak
Otoczenie działki niezabudowane
Prąd brak
Kanalizacja brak
Pomieszczenia
Marek Pardo

Marek Pardo

WŁAŚCICIEL ABC NIERUCHOMOŚCI EKSPERT KREDYTOWY

Napisz wiadomość 39 Ofert

Opis nieruchomości

DZIAŁKA BUDOWLANA
SKRZATUSZ


Działka o powierzchni 950m2, położona na nowo tworzonym osiedlu domków jednorodzinnych.

Woda - własne ujęcie wody.
Kanalizacja - przydomowa oczyszczalnia ścieków.


Położenie Skrzatusza jest bardzo dogodne, ponieważ ok. 18 km dzieli go od Piły i ok. 12 km od Wałcza. 
Do sprzedaży są również trzy inne działki, każda o pow. 950m2, położone obok siebie.

 
BEZPŁATNA POMOC w uzyskaniu kredytu !!!

    ZAPRASZAMY  NA PREZENTACJĘ

Dane opisu nieruchomości podane są przez zamawiającego.
Powyższy opis ma charakter informacyjny i nie stanowi oferty w rozumieniu przepisów Kodeksu Cywilnego. Wszelkie prawa zastrzeżone!
Opis oraz zdjęcia są własnością biura.
Kopiowanie, powielanie, wykorzystywanie zdjęć i opisu bez zgody autora zabronione.

Lokalizacja nieruchomości

Kalkulatory

Kalkulator kredytowy

Wysokość raty

PLN
%

Kalkulator kosztów

Podatek od czynności cywilno-prawnych

Taksa notarialna
(opłata notarialna)

Wniosek o wpis do KW

VAT od prowizji
agencji nieruchomości

VAT od taksy notarialnej
(opłaty notarialnej)

Prowizja agencji nieruchomości

Wypisy aktu notarialnego

Razem

Uwaga: mogą wystąpić dodatkowe opłaty za założenie księgi wieczystej oraz ustanowienie hipoteki.

PLN
PLN
PLN
PLN
PLN
PLN
%
PLN

Podobne oferty

Oferta na wyłączność

Działka na sprzedaż

Szydłowo (gw), Skrzatusz

950 m2 84,21 zł/m2
Oferta na wyłączność
Oferta na wyłączność

Działka na sprzedaż

Szydłowo (gw), Skrzatusz

950 m2 84,21 zł/m2
Oferta na wyłączność
Oferta na wyłączność

Działka na sprzedaż

Szydłowo (gw), Skrzatusz

950 m2 84,21 zł/m2
Oferta na wyłączność
Oferta na wyłączność

Działka na sprzedaż

Szydłowo (gw), Skrzatusz

1 109 m2 71,24 zł/m2
Oferta na wyłączność

WŁAŚCICIEL ABC NIERUCHOMOŚCI EKSPERT KREDYTOWY

Proszę wprowadzić poprawne imię i nazwisko
Proszę wprowadzić poprawny numer telefonu
Proszę wprowadzić poprawny adres e-mail
Proszę zaznaczyć wymagane zgody
Rozwiąż równanie:
23 4
Niepoprawny wynik